Кемеровская мэрия утвердила застройку еще одного микрорайона

В Кемерове решено застраивать еще один микрорайон. Хотя еще не найдены застройщики на все уже утвержденные места.

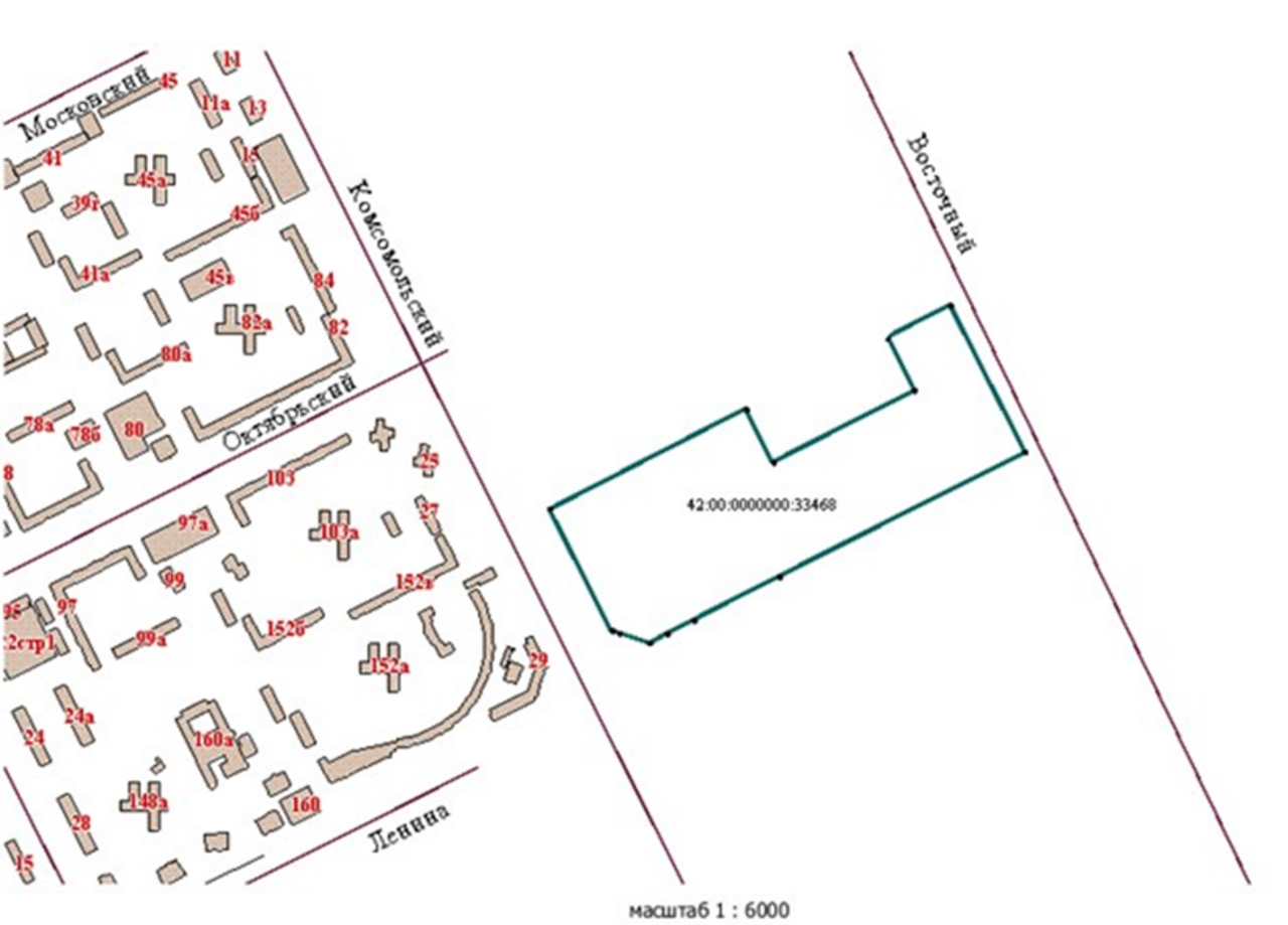
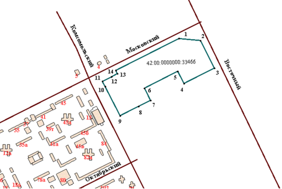
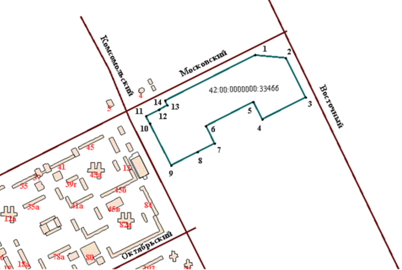
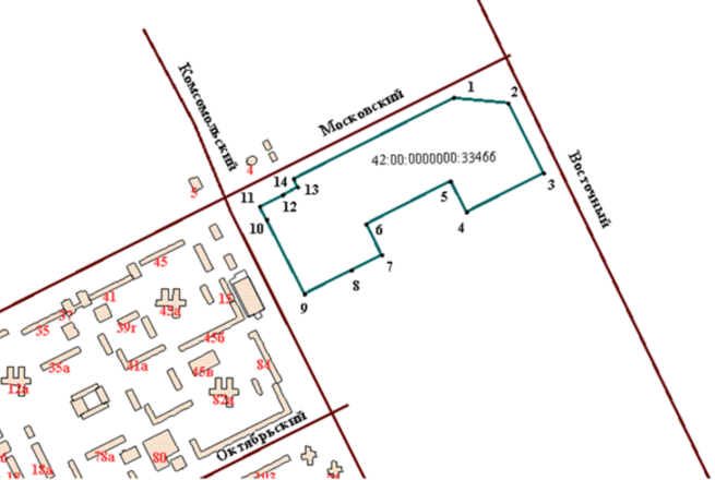
Кемеровская мэрия утвердила комплексное развитие территории микрорайона 61/1 в Ленинском районе. Как указано в постановлении врио мэра Николая Хаблюка, площадь микрорайона составит 11 га, он появится в границах проспектов Комсомольский, Московский, Восточный и соседнего микрорайона 61/2.

Предельный срок реализации решения о комплексном развитии территории – 10 лет со дня заключения договора с застройщиком. А его еще нужно найти.

На территории разрешено строить многоэтажки выше девяти этажей, коммунальную инфраструктуру, школы, детсады, больницы, административные здания, общежития и прочее.

Рядом решено застраивать микрорайоны 61/2, 62/1 и 62/2 такой же площадью.

Напомним, в заискитимье пока найдены застройщики на восемь микрорайонов из 11. На остальные власти пытается найти партнеров, но никто пока не хочет.

Фото: Администрация Кемерова
Комментарии для сайта Cackle